Wir sind schon vier Tage in El Nido, im Norden von Palawan. Hier ist es sehr schön, die Strände sind der Hammer:

Man kann beim Abendessen sitzen und die tollen Sonnenuntergänge genießen:

Unsere Unterkunft hier ist direkt auf dem Strand und wenn wir morgens den Vorhang aufziehen sehen wir das Meer und die Berge.
Leider bin ich immer noch nicht ganz fit. Ich habe fast die ganze Zeit damit verbracht mich auszuruhen. Ursel ist meist ohne mich losgezogen und hat einiges erlebt. Zuerst hat sie sich ein Kanu gemietet und hat die Buchten erkundet. Der Lapus Lapus Beach ist gleich um die Ecke:

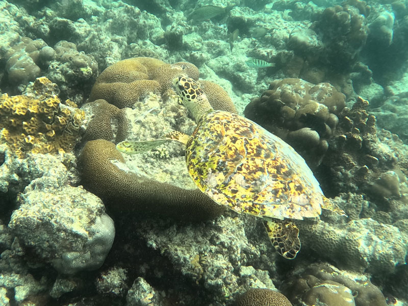
Gestern sind wir zu zweit dorthin gepaddelt und ich habe ausprobiert ob das mit dem schnorcheln schon Sinn macht. Leider noch nicht ganz, aber schön war es trotzdem:

Ursel hat hier tolle Muscheln im Wasser gesehen:

Und an Schwämmen ist sie auch vorbeigeschnorchelt:

Für Ursel stand an unserem zweiten Tag die “Tour C” auf dem Programm. Organisatorisch war es wohl ein ziemliches Chaos. Landschaftlich aber trotzdem wirklich toll:

Es ging durch enge Spalten zu versteckten Lagunen:

Und zu schönen Stränden zum schwimmen und schnorcheln:

Heute hat sie dann “Tour A” gemacht. Geplant war eigentlich dass wir die zusammen machen, aber leider hält sich meine Erkältung erstaunlich hartnäckig. Also musste sie ohne mich losziehen. Wieder gab es super schöne Felsen in türkisem Wasser:

Wie schon bei Tour C, konnte man auch bei Tour A mit dem Kanu losziehen:

Es gab wohl öfter Stellen bei denen man durch irgendwelchen kleinen Öffnungen im Felsen zu versteckten Lagunen gelangen konnte. Einmal mussten sie sogar durch eine Öffnung unter Wasser tauchen. Schade dass ich diesen schönen Nervenkitzel verpasst habe.
Die Strände auch dieser Tour waren auch wieder wie im Katalog:

Und sie hat mir begeistert von diesen “Tannenbäumen” an Korallen erzählt:

Witzigerweise heissen die tatsächlich Weihnachtsbaumwürmer. An ihr ist wohl eine Biologin verloren gegangen.
Das geht:
- Unser Nachbarrestaurant hat ein leckeres Müsli zum Frühstück - eine richtige Wohltat
- Die Sonnenuntergänge
- Der klare Sternenhimmel
Das geht nicht:
- Nur eine Speisekarte zu zweit bekommen - kommt hier erstaunlich oft vor und zwar obwohl es noch mehr gäbe
- Wenn einem ein Baby-Gecko fast in den Suppenteller reinspringt - ich habe ihn gerade noch davon abhalten können
- Beim Handeln mit dem angepeilten Endpreis anfangen - Anfängerfehler



















